松山市桑原6丁目の売地
価格
1625
万円
所在階
-
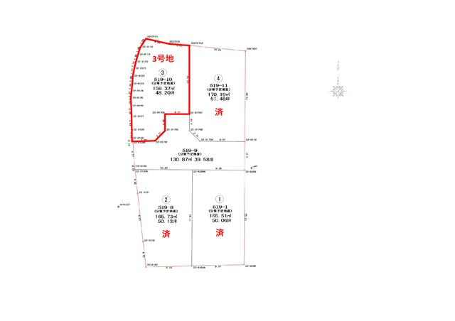
土地図
施工例
施工例
施工例
施工例
施工例
施工例
施工例
施工例
コープ愛媛束本店まで400m
スーパー日東束本店まで300m
松山市立桑原中学校まで2000m
松山市立桑原小学校まで870m
レディ薬局束本店まで300m