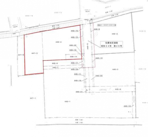
松山市小栗2丁目の売地
価格
1820
万円
所在階
-
土地図