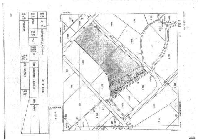
四国中央市川之江町井地の売地
価格
4896
万円
所在階
-
土地図