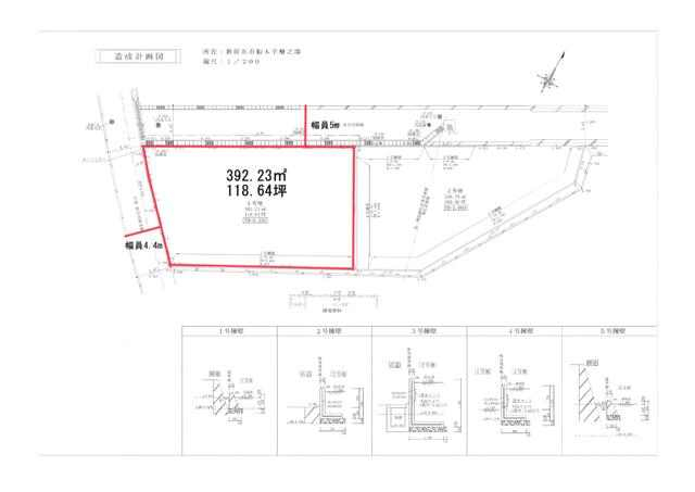
新居浜市船木の売地
価格
1067
万円
所在階
-
土地図