松山市保免西1丁目の売地
価格
1380
万円
所在階
-
現地土地写真(上物あり・解体更地渡し)
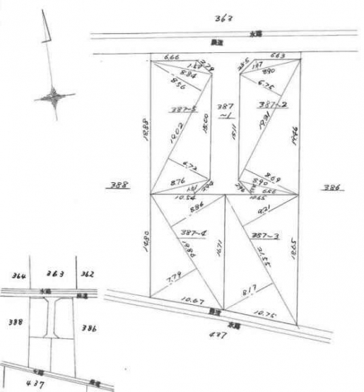
測量図
マルヨシセンター余戸店まで756m
松山生協西雄郡店まで812m
セブンイレブン松山保免西1丁目店まで507m
ローソン松山余戸東5丁目店まで876m
mac余戸店まで1002m
ディスカウントドラッグコスモス土居田店まで802m
ドン・キホーテ松山店まで1215m
松山市立余土小学校まで1064m