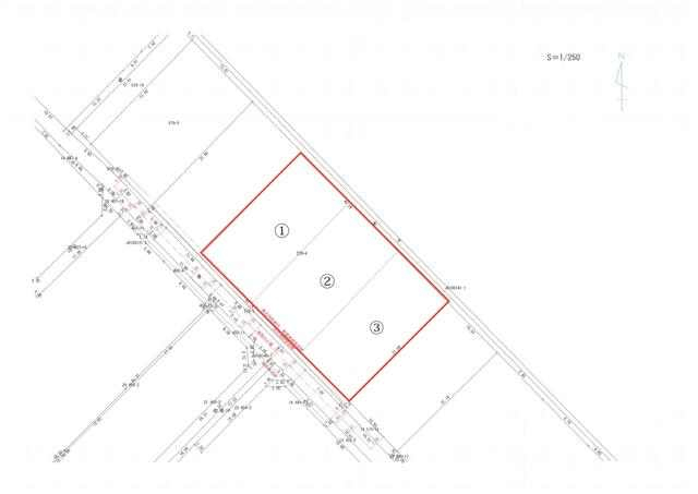
今治市南高下町4丁目の売地
価格
980
万円
所在階
-
土地図