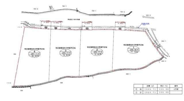
伊予郡砥部町北川毛の売地
価格
880
万円
所在階
-
土地図
木村チェーン砥部店まで645m
ローソン砥部大南店まで404m
ディスカウントドラッグコスモス砥部店まで802m
DCM宮内店まで1616m
砥部町立砥部中学校まで513m
砥部町立砥部小学校まで1160m
砥部町立砥部こども園まで713m
伊予銀行砥部支店まで614m