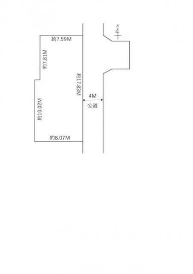
松山市山西町の売地
価格
900
万円
所在階
-
土地図