松山市藤原1丁目の売地
価格
2880
万円
所在階
-
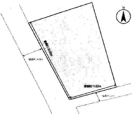
土地図