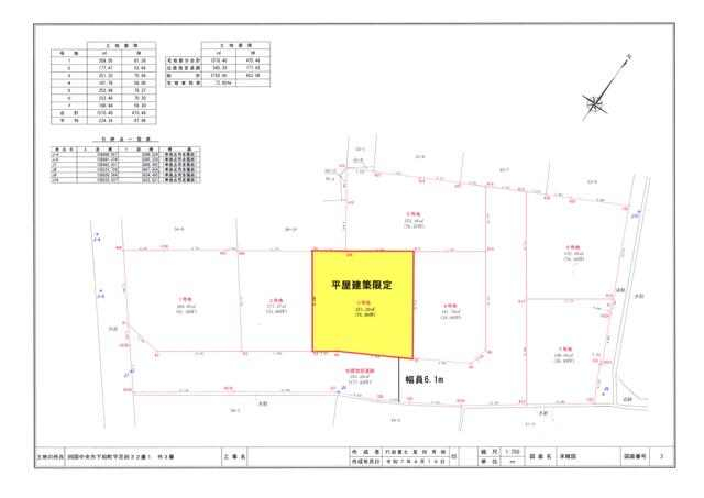
四国中央市下柏町の売地
価格
1291.6
万円
所在階
-
土地図