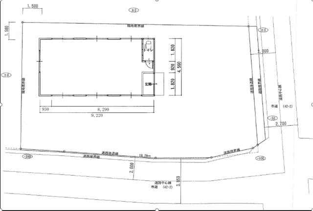
甲賀市土山町南土山の売地
価格
390
万円
所在階
-
土地図