松山市余戸西5丁目の売地
消費税法の改正と価格等の表示について
当サイトの課税対象となる物件価格およびその他費用等は、税込み表示となっております。
※消費税法の改正に伴い、物件の引き渡し時期、お支払い時期等により課税率が異なります。
詳しくは、各情報提供元の不動産会社にご確認くださいますようお願いいたします。
ローンシミュレーションこの物件を購入した場合の、月々の支払い価格の一例です。
- 返済期間
-
- 金利
-
- ボーナス時の増額(1回分)
-
- 借入金額:
-
- 頭金:
-

- 毎月の返済額:
(※元利均等方式 金利5.00%まで ※返済年数5~35年まで入力できます)
(※ボーナスは年2回で計算しています。1000万円まで入力できます)
物件概要 【売地】 物件番号:5982361 情報更新日:2026年04月15日 次回更新予定日:2026年04月29日
| 物件名 | 松山市余戸西5丁目の売地 | ||
|---|---|---|---|
| 所在地 | 愛媛県松山市余戸西5丁目 | ||
| 交通 |
|
||
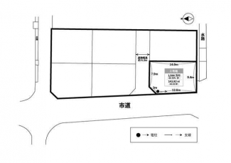
| 接道状況 | 角地(北 4.00m )(西 6.70m ) | ||
| 価格 | 1499万円 | 私道負担面積 | - |
| 土地権利 | 所有権 | 土地面積 | 143.82㎡ |
| 坪数 | 43.5坪 | 坪単価 | 34.4598万円/坪 |
| 地目 | 宅地 | 地勢 | 平坦 |
| 建築条件 | - | セットバック | - |
| 都市計画 | 市街化調整区域 | 用途地域 | 無指定 |
| 建ぺい率/容積率 | 70.00%/200.00% | 借地料 | - |
| 国土法届出要否 | - | その他の法令上の制限 | 宅地造成規制区域、航空法、建築基準法第22条地域 |
| 取引態様/現況 | 売主/更地 | 最適用途 | 住宅用地 |
| 引渡時期 | 相談 | 引渡条件 | 更地渡 |
| 設備条件 | - | ||
| 備考 | ●北側道路:松山市道余土107号線(幅員4.0m)西側道路:松山市道余土26号線(幅員6.7~7.7m)●4号地・5号地・6号地の東側には5段積通常ブロックを売主にて築造します。●南側につては水路があり、接道扱いになっておりません。●高潮浸水想定区域内●売主にて造成工事を完了し、分筆後にお引渡しします。●本物件内に在する通路は5号地と6号地の所有通路になります。●本物件は建築確認取得前に都市計画法第43条の建築許可取得が必要になります。(買主様負担)●下水道(汚水・雨水)の引込は建築確認取得にあわせて買主様にて行うものとします。●上水道は売主にて引込します。●区画によっては電柱と支線が入ります。 | ||
ただいまの掲載物件数:





















